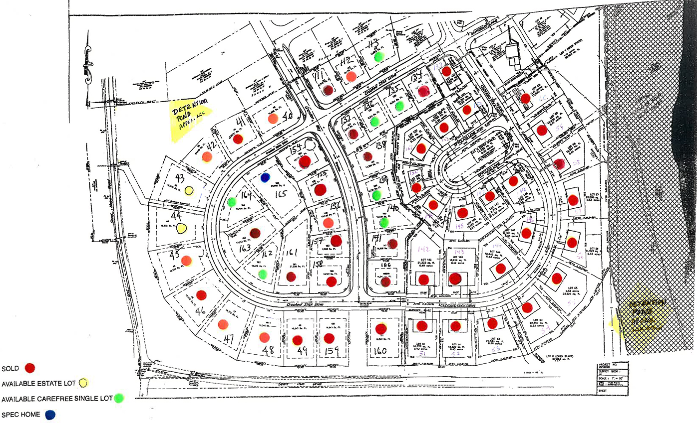
| Approx. Max | Care Free Villa Homes | |||||||
| LOT # | Reserved | House width | Address | Sq Ft | Acres | Price | ||
| 111 | 44 CS-65 GW | 730 Grandon Way (alt 570 Crooked Stick Dr) | 9,915 | 0.228 | $ 120,500.00 | |||
| 112 | 44 CS-65 GW | 560 Crooked Stick Dr | 10,178 | 0.234 | $ 117,500.00 | |||
| 113 | 85 | 550 Crooked Stick Dr | 13,882 | 0.319 | $ 120,500.00 | |||
| 134 | 65 | 545 Crooked Stick Dr | 9,754 | 0.224 | $ 112,500.00 | |||
| 135 | 65 | 555 Crooked Stick Dr | 9,754 | 0.224 | $ 112,500.00 | |||
| 136 | 65 | 565 Crooked Stick Dr | 9,614 | 0.221 | $ 114,500.00 | |||
| 137 | 65 | 720 Grandon Way (alt 575 Crooked Stick Dr) | 9,614 | 0.221 | $ 112,000.00 | |||
| 138 | 66 | 710 Grandon Way | 14,388 | 0.330 | $ 117,500.00 | |||
| 139 | 60 | 700 Grandon Way | 9,728 | 0.223 | $ 117,500.00 | |||
| 140 | 63 | 690 Grandon Way | 12,738 | 0.292 | $ 116,500.00 | |||
| 141 | 63 | 680 Grandon Way | 10,606 | 0.243 | $ 114,500.00 | |||
| 154 | 45 GW-67 CS | 725 Grandon Way (alt 575 Crooked Stick Dr) | 13,115 | 0.301 | $ 122,500.00 | |||
| 155 | 80 | 715 Grandon Way | 10,946 | 0.251 | $ 115,000.00 | |||
| 156 | 78 | 705 Grandon Way | 10,696 | 0.246 | $ 114,500.00 | |||
| 157 | 58 | 695 Grandon Way | 9,098 | 0.209 | $ 114,500.00 | |||
| 158 | SOLD | 56 GW-65CS | 685 Grandon Way (alt 675 Crooked Stick Dr) | 13,121 | 0.301 | $ 115,000.00 | ||
| 161 | 85 | 665 Crooked Stick Dr | 21,328 | 0.490 | $ 132,500.00 | |||
| 162 | 87 F-65 B | 655 Crooked Stick Dr | 13,573 | 0.312 | $ 132,500.00 | |||
| 163 | 85 F-60 B | 635 Crooked Stick Dr | 17,913 | 0.411 | $ 127,500.00 | |||
| 164 | 110F-45 B | 615 Crooked Stick Dr | 13,456 | 0.309 | $ 122,500.00 | |||
| 165 | 71 | 595 Crooked Stick Dr | 20,980 | 0.482 | $ 132,500.00 | |||
| 166 | 65 GW-45 CS | 670 Grandon Way (alt 685 Crooked Stick Dr) | 11,317 | 0.260 | $ 117,500.00 | |||
| Approx. Max | Estate Homes | |||||||
| LOT # | Reserved | House width | Address | Sq Ft | Acres | Price | ||
| 40 | SOLD | 68 GW | 735 Grandon Way (alt 580 Crooked Stick Dr) | 16,058 | 0.369 | $ 130,000.00 | ||
| 41 | 66 | 590 Crooked Stick Dr | 14,093 | 0.324 | $ 130,000.00 | |||
| 42 | 57 | 600 Crooked Stick Dr | 15,348 | 0.352 | $ 130,000.00 | |||
| 43 | 57 | 610 Crooked Stick Dr | 19,775 | 0.454 | $ 145,000.00 | |||
| 44 | 57 | 620 Crooked Stick Dr | 19,775 | 0.454 | $ 145,000.00 | |||
| 45 | SOLD | 57 | 630 Crooked Stick Dr | 19,775 | 0.454 | $ 145,000.00 | ||
| 46 | 57 | 640 Crooked Stick Dr | 19,775 | 0.454 | $ 145,000.00 | |||
| 47 | SOLD | 57 | 650 Crooked Stick Dr | 19,775 | 0.454 | $ 145,000.00 | ||
| 48 | 57 | 660 Crooked Stick Dr | 19,340 | 0.444 | $ 135,000.00 | |||
| 49 | SOLD | 61 | 670 Crooked Stick Dr | 16,947 | 0.389 | $ 130,000.00 | ||
| 159 | SOLD | 61 | 680 Crooked Stick Dr | 16,947 | 0.389 | $ 135,000.00 | ||
| 160 | SOLD | 70 | 690 Crooked Stick Dr | 18,367 | 0.422 | $ 135,000.00 | ||
| all prices are subject to change without notice, lots & sq footage based upon March 1, 2013 plot plan | ||||||||
| Prices Effective May 20, 2015 | ||||||||